Bouwgrond - Te koop
€ 165.000
Morkhovenseweg 10 BD Lin, 2220 Heist-op-den-Berg
773m²
Omschrijving
Landelijk gelegen bouwgrond met agrarisch uitzicht
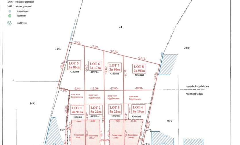
Prachtig gelegen landelijke en ruime bouwgrond (07a 73ca) voor halfopen bebouwing gelegen vlakbij het centrum van Wiekevorst en de belangrijkste verbindingswegen naar Heist-op-den-Berg, Morkhoven, Westerlo, ..
Een absolute toplocatie qua landelijk wonen, verbinding woon-/werkverkeer in de regio en met ruime bouwmogelijkheden.
Lot 1 + achtergelegen Lot 5: 165.000 euro, bouwbreedte van 9meter.
Te bebouwen zone van maar liefst 151m² op het gelijkvloers, met gunstige bouwvoorschriften.
Volledig vrij van bouwverplichting en dus ook ideaal om te kopen als investering, of uiteraard ook voor uw droomwoning te realiseren.
Bouwvoorschriften en verkavelingsplan beschikbaar ter inzage op kantoor of via mail.
Volledig zuid gelegen en dus een prachtige oriëntatie met uitzicht op agrarisch landschap.
Een unieke kans op een ideale ligging !
Fase 1 zijn 2 bouwgronden, in fase 2 zijn nog 2 bouwgronden beschikbaar.
Dus in totaal zullen er 4 loten verkocht worden.
Meer info, plannen of bouwvoorschriften 0495 57 40 40 of info@heistimmo.be
Een absolute toplocatie qua landelijk wonen, verbinding woon-/werkverkeer in de regio en met ruime bouwmogelijkheden.
Lot 1 + achtergelegen Lot 5: 165.000 euro, bouwbreedte van 9meter.
Te bebouwen zone van maar liefst 151m² op het gelijkvloers, met gunstige bouwvoorschriften.
Volledig vrij van bouwverplichting en dus ook ideaal om te kopen als investering, of uiteraard ook voor uw droomwoning te realiseren.
Bouwvoorschriften en verkavelingsplan beschikbaar ter inzage op kantoor of via mail.
Volledig zuid gelegen en dus een prachtige oriëntatie met uitzicht op agrarisch landschap.
Een unieke kans op een ideale ligging !
Fase 1 zijn 2 bouwgronden, in fase 2 zijn nog 2 bouwgronden beschikbaar.
Dus in totaal zullen er 4 loten verkocht worden.
Meer info, plannen of bouwvoorschriften 0495 57 40 40 of info@heistimmo.be
Financieel
- Prijs: € 165.000,00
- Beschikbaarheid: Onmiddellijk
Terrein
- Grondoppervlakte: 773,00 m²
- Terreindiepte: 71,00 m
Stedenbouw
- Bestemming: Woongebied
- Bouwvergunning: Nee
- Verkavelingsvergunning: Ja
- Voorkooprecht: Nee
- Dagvaarding: Nee
- P-score: D
- Vonnissen: Nee
Ligging
- Buurt: Landelijk, residentiële wijk
- School nabij: Ja
- Winkels nabij: Ja
- Openbaar vervoer nabij: Ja
- Sportcentrum nabij: Ja